Fabrics under a microscope – literally
I‘m a bit of a science nerd and sometimes I need some time to play. As sewists we think about different properties of the fabrics. The thickness, the stretchiness and the drape are all important qualities but what actually causes these properties? What is the actual difference between Liberty tana lawn and cheaper lawn? What is the difference between poplin and voile? What makes stretchy lining fabric stretchy? So, I decided to do some closer investigation using a microscope and see what I could find.
Here are the fabrics in my little study:

From left to right and top to bottom:
- Stretchy lining fabric (96 % acetate, 4 % elastane)
- Polyamide (25 %) triacetate (75 %) lining fabric
- Liberty tana lawn (100 % cotton, 76 g/m)
- Some generic lawn (If you know the brand of this, send me a comment!)
- Cotton voile
- Nuppu print company thin cotton fabric (100 % cotton, 130 g/m2)
- Viscose polkadot fabric (100 % viscose)
- Polkadot poplin (100 % cotton)
- Atelier Brunette cambric (100 % cotton, 85 g/m2)
I have a school type of a microscope and I took the photos really awkwardly using my phone since my camera had run out of battery. I have used the same ocular with all the photos so the scale in the images is unchanged.
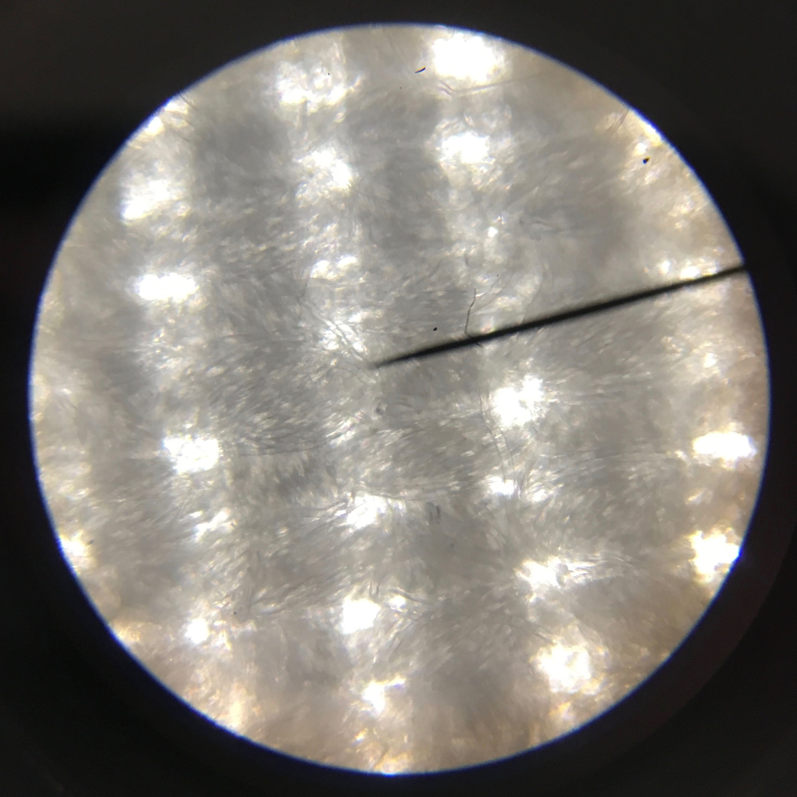
So, here we go! At first I wanted to know the difference between stretchy and non-stretchy lining fabrics. The pictures are below. You can click on them to see them in bigger size.
The weft of the stretchy lining fabric seems to consists of long fibres wrapped around stretchy fibers. The fabric stretches in vertical direction only, what is obvious seeing how the elastic fibers go up and down in vertical rows. The loose wrapping of the fibers around the elastic core allow the stretchiness. The non-stretchy fabric just has the identical warp and weft yarns.
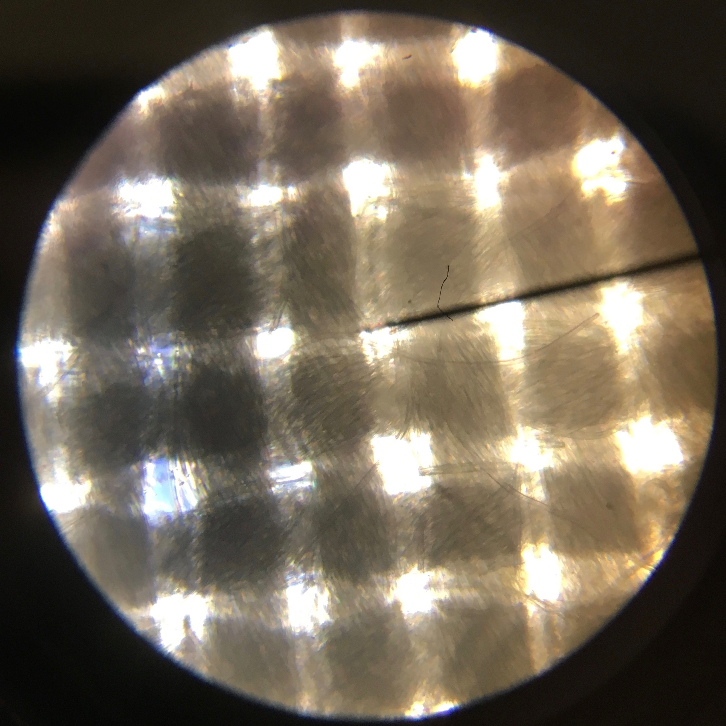
What about the lawn, then? What is the difference between different lawns? Here are the images:
The first on the left is Liberty tana lawn, the most expensive and the softest. The second is lawn (or at least lawn-like cotton) I found in the fabric remnants so I do not know its exact composition, it feels soft, though but slightly crispier than the Liberty lawn. The third picture has magnified Atelier Brunette cambric that is somewhere between the first two what comes to the softness of the fabric.
I’m very confused what comes to the naming of different fabric types, since many of the names come from the history of fabric manufacturing. I consulted Wikipedia, which told me that the cambric at least originally was finer than lawn. However, my magnified images make it possible to count the warps and wefts in the images. I didn’t pay attention to the direction of warps and wefts while taking the images but I can count approximately 7 vertical and 8 horizontal threads in the Liberty image and 7 and 6 in the second and 5 and 7 in the last picture. The threads in the Liberty magnification are thinnest, the other two show slight difference between the thicknesses of warp and weft threads, but the threads are slightly thinner in the cambric (the last picture).
So, to conclude, it seems that the difference that can be felt by your fingertips can be also seen through the microscope! It could be interesting to really see whether there are any other lawns that match Liberty fabric.
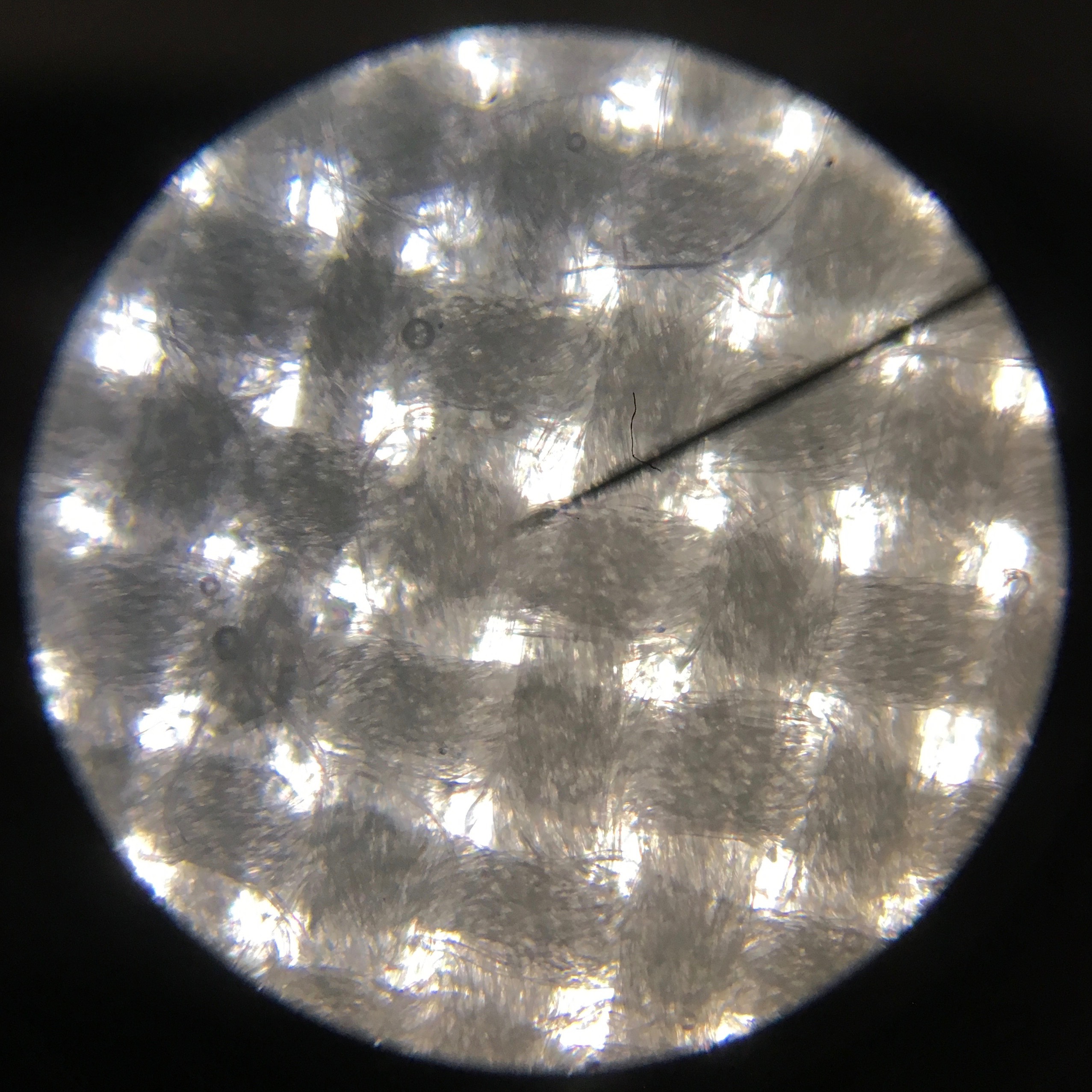
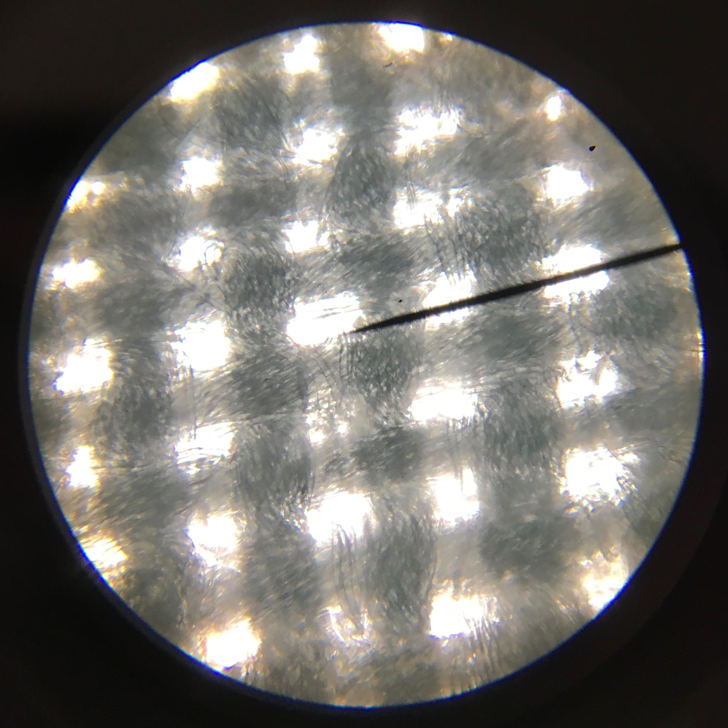
What about some other types of fabric? Here are (from left to right and top to botton): 1. cotton voile, 2. polkadot poplin, 3. Nuppu print company cotton and 4. Polkadot viscose.
My cheap voile is loosely woven and there are big thickness deviations in the threads. This makes it both opaque and slightly rustic.
The cotton poplin is the most densely woven if the lining fabrics don’t count. Poplin has thinner warp and thicker weft which shows well in the second image.
However, even if I’ve called the Nuppu print company cotton poplin, it obviously isn’t poplin if you start comparing warp and weft thicknesses. I can count 8 vertical warp threads and 5ish horizontal weft threads (Due to the print I could check the direction.). I guess that the loose weaving gives the poplin-like qualities. I would be interested to know the name of this type of weaving, so if you know, send me a comment!
The last but not least is my current favourite fabric: the lilac polkadot viscose. I think that if I had to guess the type of weave, I’d say it is challis. What is interesting, is that I can count only 5 and 6 threads in vertical and horizontal directions, respectively. Despite of that the viscose fabric is amazingly drapy and soft, nothing like cotton with those thread densities and thread thicknesses. Before seeing the magnification I’d have guessed the viscose threads to be much thinner than the threads in the typical thin cottons but in fact, the drape of the fabric seems to be a property of the fiber.
Good for you, if you had patience to read to the end! So, here ends my little kitchen-table-science study.




One Comment
Sew Sarah Smith
This was absolutely brilliant! Really fascinating!